野香蕉|叫不出来名字的野果,每天食一个,越吃越健康
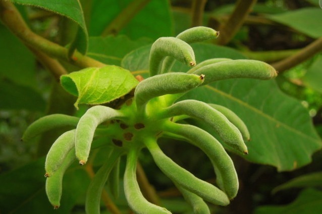
有一种野果,好多人都叫不上来名字,其实它叫野香蕉。野香蕉别称八月瓜、八月炸、八月黄等,野香蕉是可以吃的,在古代年间曾经是进贡皇家的贡品,去掉果皮以后可以直接食用,味甜略涩。其实野香蕉的营养价值也很高,除了含有碳水化合物以外,还含有多种矿物质和维生素,人们食用以后对身体有多种好处。而且,野香蕉中还含有一些酸性成分,能促进人体消化液分泌,能起到开胃消食的作用。《中草药大辞典》载:野香蕉舒肝、补肾、止痛、消炎、利尿、除湿等;药理主治顽癣、斑秃、阳萎、便秘等病症。

文章插图
一种常见的野果,农村人叫它野香蕉,又叫做紫玉盘。是一种暗藏在民间的野果,小时候农村到处都是这种野果,当时都见过,但是基本都叫不出来它的名字,真正了解的人并不多,今天小编带着大家详细了解野香蕉的药用价值吧。

文章插图
上面这张图片就是刚刚小编给大家山珍野果野香蕉,像极了香蕉,果皮黄黄的,吃起来非常好吃,营养药用价值双高,功效多多,你见过吗?

文章插图
野香蕉的药用价值:野香蕉是一种天赐民间的保健野果,含有丰富的维生素和氨基酸等营养成分,是普通水果的10倍,能够起到补充营养成分。野香蕉含有丰富的碳水化合物和膳食纤维,能够起到开胃助消化的作用,每天食一个,越吃越健康。

文章插图
野香蕉全草可入药,野香蕉有消炎的作用,对腹痛腹泻有不错的效果。野香蕉具有消肿止痛,治疗跌打损伤的功效,对于腰腿疼痛也有明显的疗效。野香蕉不防多食,对患有风湿疾病能够起到不错的效果。这种野果你吃过吗?(图片来源网络)?
- 香蕉|中年人不想“短命”,早餐别“碰”这3物,管住嘴,长寿很容易!
- 杂草|下边三种山野菜,非常容易被当做杂草,实际上营养成分很高!
- 营养物质|亲民的滋补野菜,比人参便宜很多,营养价值却超高,15一斤疯抢
- 香蕉|香蕉阳性!紧急寻人!!
- 野菜如何选择?如何烹饪才健康?
- 小时候常玩的野草,竟是粮食的祖先,用来煮水好处多,你可认识?
- 毒蘑菇中毒症状 野生菌中毒怎么办
- 夏季吃香蕉好处多 告诉你4大禁忌
- 野草|长满倒刺的野草,蛇见到都害怕,被农村娃当零食吃,如今20元1斤
- |这种野草自带香味,可做调味品,还能祛痰止咳,价值很高20元一斤
